Makléř: Ing. Jiří Michal
Telefon: 721 474 ...
E-mail: jiri.mi ...
Zobrazit celý kontaktTelefon: 721 474 742
E-mail: jiri.michal@gpre.cz
Nemovitost nabízí
GEPARD REALITY
Sokolovská 192/79, Praha
Zobrazit kontakt na RK739 975 533
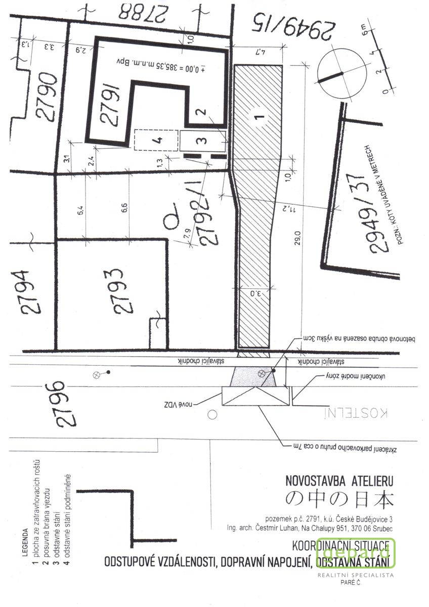
Výjimečná nabídka - hledáte něco výjimečného, co jen tak někdo nemá, ať už k bydlení, nebo podnikání, či jako investiční záměr v širším středu Českých Budějovic u obchodního střediska IGY, ulice Kostelní? Nabízíme výhradně prodej stavebního pozemku se schváleným stavebním záměrem - výstavba, víceúčelová stavba, atelier s možností výstavby budovy za účelem následného využití (možný výběr): - atelier, - jedna bytová jednotka v RD, - ateliér a jedna bytová jednotka - dvě bytové jednotky v RD, - celkem 6 ubytovacích jednotek, - celkem 7 ubytovacích jednotek. Celá budova je navržena a situována tak, aby bylo maximálně dodrženo soukromí budoucích bydlících a uživatelů i ze strany a podhledu ze všech okolních budov. Parametry budoucí stavby: zastavěná plocha (včetně průjezdu) … 123,0 m2 obest. prostor (včetně průjezdu, bez zákl. konstrukcí) … cca 765,0 m3 obestavěný prostor (standardní základové konstrukce) … cca 85,0 m3 užitková plocha přízemí (včetně průjezdu) … 90,1 m2 užitková plocha podkroví … 68,4 m2 užitková plocha celkem (včetně průjezdu) … 158,5 m2 podlahová plocha celkem (bez průjezdu) … 207,5 m2 Celková plocha stavebního pozemku je 241 m2 a vlastníkem a zároveň zpracovatelem záměru a projektu byla již zpracována projektová dokumentace k uvedenému, včetně souhlasných stanovisek, přípojek (voda, plyn, elektro, kanalizace), smluv a vyjádření potřebných k následnému vydání stavebního povolení, naposledy - Kladné závazné stanovisko se stavebním záměrem - atelier (víceúčelová stavba) Magistrát města České Budějovice, odbor územního plánování. Jedná se o zcela výjimečnou věc zpracovanou renomovaným architektem, který se může na uvedeném po dohodě dále zúčastnit a vykonávat další činnosti v tomto pro nového majitele. Nový majitel v ceně obdrží pozemek, včetně všech plánů, variant, možností, oprávnění, povolení a dalšího, rovnající se práce na uvedeném ze dobu 6-ti let ….. K uvedenému je potřebné a vhodné jednání a prezentace pro vážného zájemce u „kulatého stolu“ kde bude vše kompletně předvedeno a prezentováno, včetně ceny. Cena za komplet je stanovená.
Prodej pozemku pro bydlení o rozloze 8.573 m2 - v obci Třebotovice, České Budějovice
Prodej pozemku o rozloze 8.573 m2 (délka x šířka cca 290m x 30m). Pozemek se nachází v katastru obce Třebotovice, ale na okraji obce Dobrá voda u…
Pozemek, bydlení, prodej, Zavadilka, České Budějovice 2, České Budějovice
Zavadilka v Českých Budějovicích jedna z nejžádanějších lokalit v krajském městě. Hledáte výjimečný velký pozemek pro výstavbu svého domu? Chcete si…