Makléř: Bis Petr
Telefon: 296 399 ...
E-mail: info@mm ...
Zobrazit celý kontaktTelefon: 296 399 006
E-mail: info@mmreality.cz
Nemovitost nabízí
M&M reality holding a.s.
Krakovská 1675/2, 110 00 Praha 1
Zobrazit kontakt na RK800 100 446
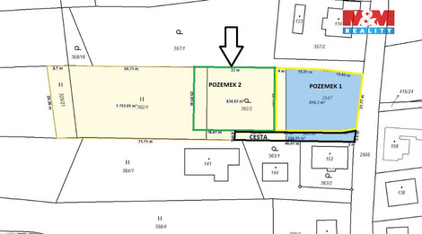
Nabízíme Vám k prodeji stavební pozemek o výměře cca 834 m2 v klidné části obce Trocnov. Zastavitelná plocha je max. 35%, lze na něm postavit stavby rodinných domů, bytových domů, rekreačních chalup vesnického charakteru. Inženýrské sítě (elektřina a přípojka vody) jsou na pozemku. Kanalizace bude muset být formou domácí ČOV. Příjezd k pozemku bude umožněn z obecní komunikace na soukromou cestu, na které budete mít 1/2 podíl. Pozemek, na kterém je dnes rozestavěná dřevostavba, bude vyklizen ke dni předání. Veškerá občanská vybavenost se nachází v 5 minut vzdálené obci Borovany a 15 minut vzdáleném okresním městě České Budějovice. V případě Vašeho zájmu kontaktujte makléře. S výhodným financováním Vám rádi pomůžeme.
Prodej pozemku k bydlení, 820 m2, Borovany
Nabízíme Vám k prodeji stavební pozemek o výměře 820 m2 v klidné části obce Trocnov u Borovan. Uvedený pozemek se nachází v zastavitelné části s…
Prodej pozemku k bydlení, 3156 m2, Vrcov - Borovany
Nabízíme k prodeji prostorný stavební pozemek o výměře 3 156 m2 v klidné části obce Vrcov, která spadá pod město Borovany. Pozemek je zasíťovaný - k…